Sign up
Log in
Results
View all 1 pictures

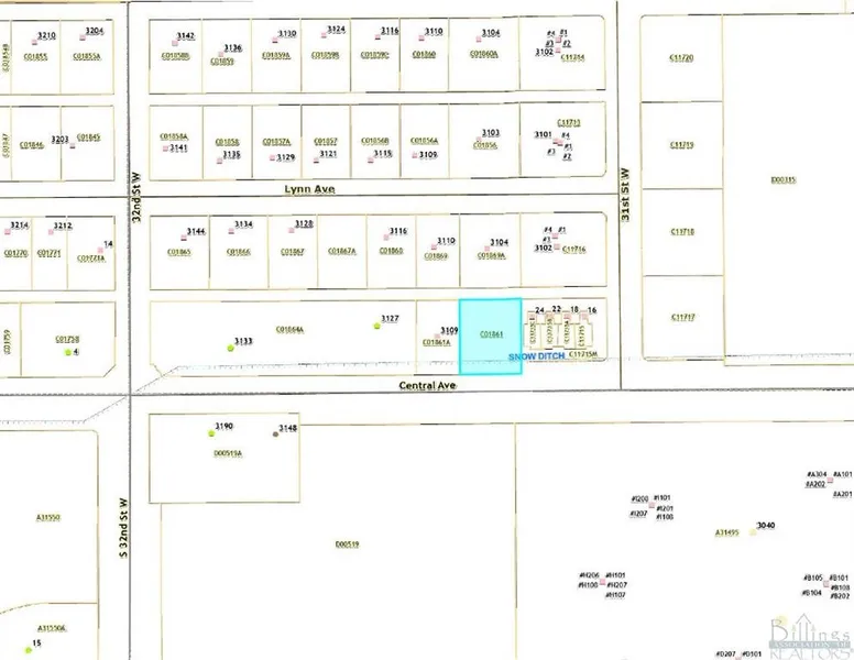
0.3 Acres in Billings, MT - $125,000

Rare infill lot on west end near 32nd and Central Ave. Zoned for up to 4 units- It is in the final steps of NX1 rezoning- the request just got approved by the city and should be recorded at county as such within 2 weeks. Electric, water, gas, are stubbed to lot. Sewer is in the lane behind the property. The section of lane is currently gravel at the lot location. City will likely require that driveways come off the alley/lane, not Central Ave. From the city website, “NX1: MIXED RESIDENTIAL The NX1 district is intended to continue the character of the first neighborhoods with single family, two-family, and small-scale multiple-family homes with 3 to 4 units. Multiple-family homes are intended to match the scale of the neighborhood single-family homes with characteristics such as building width, parking and garages location, roof design, and doors and windows on the front facades.”

From elevation to risk assessment

Search for detailed parcel information including; Elevation & Vegetation Maps, Ownership Information, Detailed Parcel Information, Crop History Map, Soil Survey Productivity Data, and more.

Research Parcel Information
Contact Seller

CENTURY 21 Hometown Brokers

Billings, MT

(406) 294-2135