Sign up
Log in
Results
View all 12 pictures
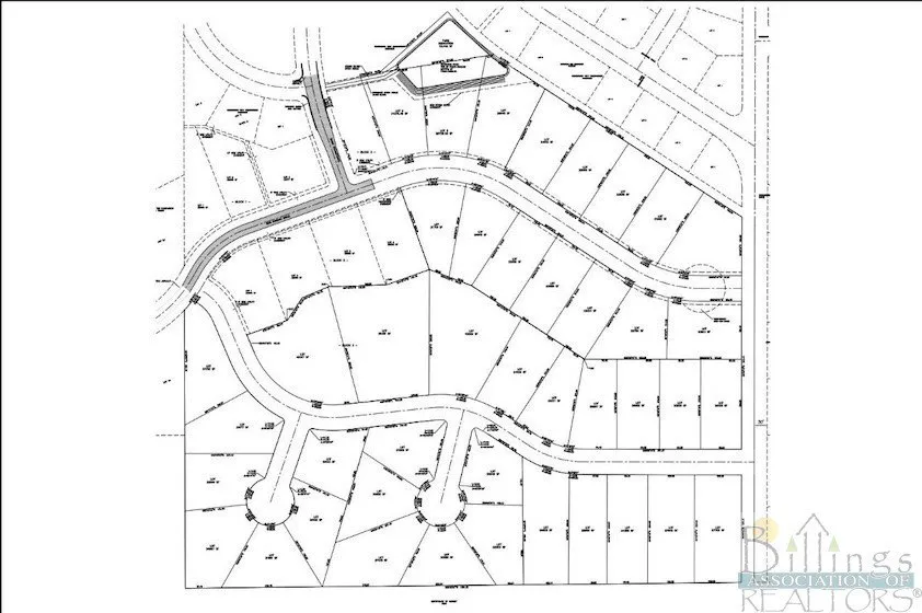
Size: 19.13 Acres

19.13 Acres in Billings, MT - $494,000

This beautiful acreage that is fenced and offers rolling hills w/ varied terrain and forever views. There are 27 lots. The 1st and 2nd filing are already completed and built out. Located on a good gravel road with power. Develop and make money back on your investment OR build your dream home and shop and have room to spread out on this incredible piece of land with ability to 4 wheel or have horses!

From elevation to risk assessment

Search for detailed parcel information including; Elevation & Vegetation Maps, Ownership Information, Detailed Parcel Information, Crop History Map, Soil Survey Productivity Data, and more.

Research Parcel Information
Contact Seller

CENTURY 21 Hometown Brokers

Billings, MT

(406) 294-2121

Provided By

CENTURY 21 Hometown Brokers, (406) 294-2121
Source: Century 21, MLS# 345490
Listing last updated: October 12, 2024 at 3:30 PM
Listing last checked: October 10, 2025 at 7:30 AM
Report this listing

Other Land for Sale in Yellowstone County