Sign up
Log in
Results
View all 2 pictures
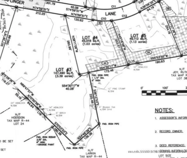
Size: 1.03 Acres

1.03 Acres in Berwick, ME - $100,000

Reservations being accepted on Berwick's newest subdivision! Now is the time to reserve your building lot with no builder tie in. Less than a mile from ''The Edge'', Berwick's new downtown (slated to break ground in Jan/Feb), bike, walk or ride your scooter to stores, restaurants, a butcher and even a bowling alley! You will enjoy the peacefulness of a small, pocket neighborhood with a meandering, tree lined, sidewalked street while being close to amenities and resources. Walking trails, a library and ball fields are all a stone's throw from Haflinger Lane. In addition, Berwick boasts public river access for boating, an active and engaged community and desirable schools. Public water and sewer at the street, site work packages, lender and builder references available.

From elevation to risk assessment

Search for detailed parcel information including; Elevation & Vegetation Maps, Ownership Information, Detailed Parcel Information, Crop History Map, Soil Survey Productivity Data, and more.

Research Parcel Information
Contact Seller

Better Homes and Gardens Real Estate The Masiello Group

Wells, ME

(207) 251-9535

Provided By

Better Homes and Gardens Real Estate The Masiello Group, (207) 251-9535
Source: Better Homes & Gardens Real Estate, MLS# 1509899
Listing last updated: February 7, 2022 at 7:07 AM
Listing last checked: December 1, 2025 at 9:31 AM
Report this listing

Other Land for Sale in York County