Sign up
Log in
Results
View all 8 pictures

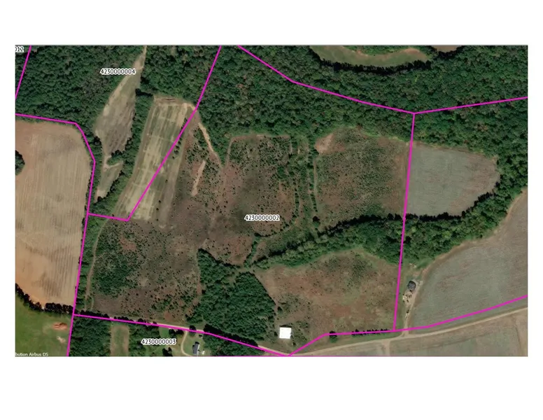
2800 Brattonsville Rd 84.77 acres

Country acreage appropriate for many uses, horses, cattle, farming, subdivision, private estate, etc. Creeks on property. Portions have been farmed for years, but overgrown now. Some woods with great home sites, 2,400 feet of road frontage. 85' x 75' Metal Building, great for farm equipment, convert to a horse or event venue or cattle barn. Not far from the new Panther's Training Center and Rock Hill. Limited Listing call owner for more information Dean 704-907-2113.

From elevation to risk assessment

Search for detailed parcel information including; Elevation & Vegetation Maps, Ownership Information, Detailed Parcel Information, Crop History Map, Soil Survey Productivity Data, and more.

Research Parcel Information

Environmental Factors

Flood Factor ™
/ 10
Fire Factor ™
/ 10
Heat Factor ™
/ 10
Wind Factor ™
/ 10
Source:First Street

Resources

Provided By

0
Listing last updated: February 7, 2022 at 6:41 AM
Report this listing