Sign up
Log in
Results
View all 9 pictures

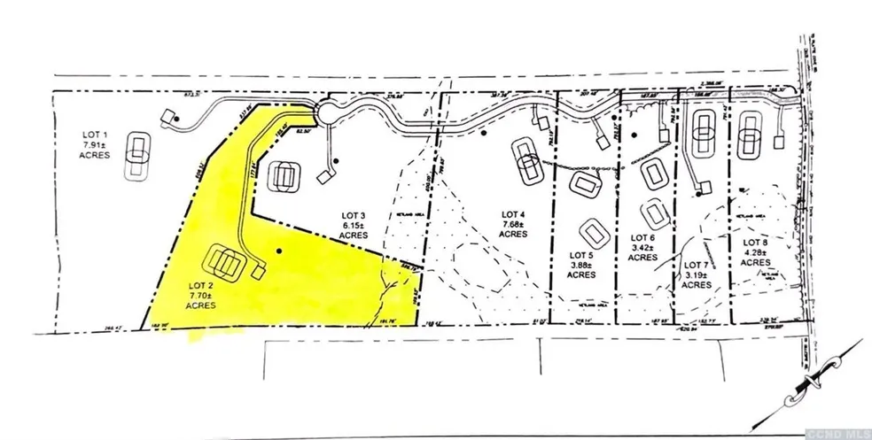
7.7 acres in Greene County, NY

Discover the enchanting allure of the Catskills at this exclusive 8-lot subdivision. 132 Repucci Forest Rd is a new private road off of Clum Hill Rd located on a new private road. The lot comes with approved septic plans and buried electric line running along the private road, ensuring convenience and readiness for building your dream mountain home. The surrounding pristine forest is preserved, offering a serene and natural setting. Situated just minutes from Hunter and Windham Mountains, this location is perfect for skiing enthusiasts. Enjoy the nearby restaurants and shops in Tannersville, or explore incredible hiking trails at Kaaterskill Falls and the Hunter Mt fire tower. The last available large lot offers possible potential mountain views. The untouched forested lot provide year-round appeal, inviting you to select the perfect site for your new home.

From elevation to risk assessment

Search for detailed parcel information including; Elevation & Vegetation Maps, Ownership Information, Detailed Parcel Information, Crop History Map, Soil Survey Productivity Data, and more.

Research Parcel Information

Directions

I-87 to exit 20 Saugerties. Turn left onto NY-212 W/ NY-32 N. Turn rt onto 32 N. continue straight onto NY-32A N. Turn left onto Clum Hill Rd. 1.6 miles to 625 Clum Hill Rd. The new private road has been put in to the 8 lot subdivision.

Contact Seller

Compass Greater New York, LLC

License #10401346601

Kingston, NY

(518) 750-6462

Mark McAlpine

Compass Greater New York, LLC
View Phone Number
By clicking the button, you agree to our Terms of Use and Privacy Policy.

Provided By

Compass Greater New York, LLC, (518) 750-6462
Source: Homes, MLS# 155641
Listing last updated: November 30, 2025 at 6:31 AM
Listing last checked: November 29, 2025 at 6:01 AM
Report this listing

More by Mark McAlpine