Sign up
Log in
Results
View all 1 pictures
Size: 5.11 Acres

Is this your property? Sell it faster with premium placement and targeted ads.

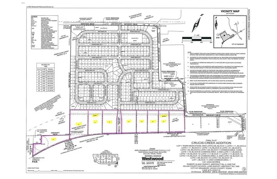
Unimproved Land - Granbury, TX

This commercial lot has double frontage on Loop 567 as well as Camp Crucis Ct. and is part of a recently platted Subdivision known as Crucis Creek Addition. There are 305 SINGLE FAMILY LOTS platted immediately behind this property WHICH IS AVAILABLE AS WELL. This location is grandfathered for City water and sewer.

Copyright © 2026 North Texas Real Estate Information Systems, Inc. All rights reserved. All information provided by the listing agent/broker is deemed reliable but is not guaranteed and should be independently verified.

Read More

From elevation to risk assessment

Search for detailed parcel information including; Elevation & Vegetation Maps, Ownership Information, Detailed Parcel Information, Crop History Map, Soil Survey Productivity Data, and more.

Research Parcel Information

Environmental Factors

Flood Factor ™
/ 10
Fire Factor ™
/ 10
Heat Factor ™
/ 10
Wind Factor ™
/ 10
Source:First Street
Contact Seller

Railhead Realty, LLC

License #0190058

Willow Park, TX

(817) 441-2255

Jimmy Martin

Railhead Realty, LLC
View Phone Number
i
By clicking the button, you agree to our Terms of Use and Privacy Policy.

Is this your property? Sell it faster with premium placement and targeted ads.