Sign up
Log in
Results
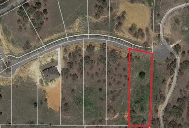
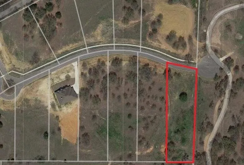
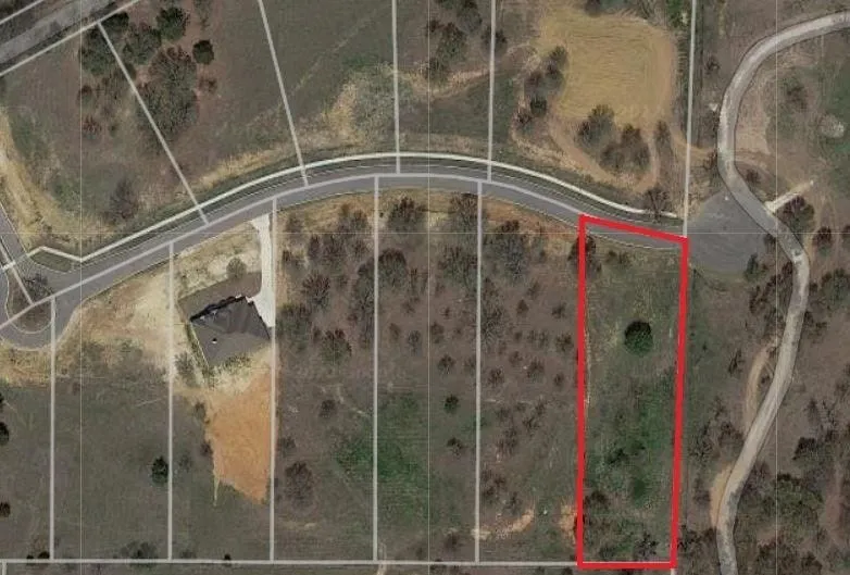
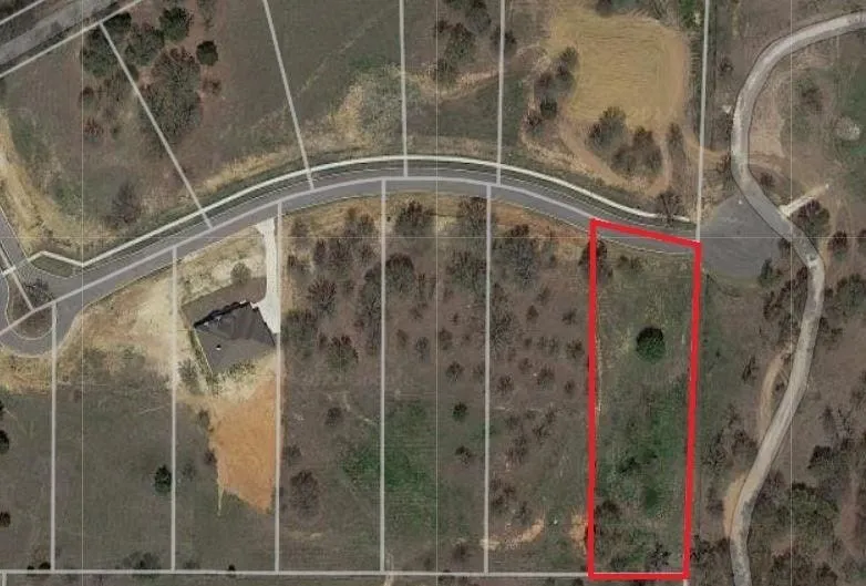
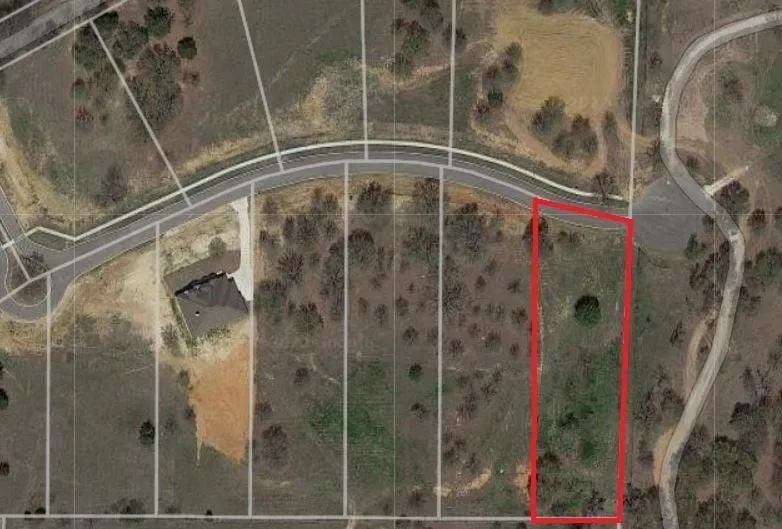
View all 7 pictures

1.06 acres in Johnson County, TX

Exclusive gated Highland Oaks community! Have the benefits of living near the city while enjoying the peaceful country life. Bring your builder (3000 minimum sq. ft.). No city taxes.

From elevation to risk assessment

Search for detailed parcel information including; Elevation & Vegetation Maps, Ownership Information, Detailed Parcel Information, Crop History Map, Soil Survey Productivity Data, and more.

Research Parcel Information

Directions

From I35 take FM 917 toward Joshua (west), left on CR 808, right on CR 707, Gated entrance .75 miles on the left.

Contact Seller

RE/MAX Trinity

Southlake,

(682) 582-9102

Brian Wells

RE/MAX Trinity
View Phone Number
i
By clicking the button, you agree to our Terms of Use and Privacy Policy.

Provided By

RE/MAX Trinity, (682) 582-9102
Source: Homes, MLS# 21073140
Listing last updated: January 16, 2026 at 6:50 AM
Listing last checked: January 15, 2026 at 6:01 AM
Report this listing

More by Brian Wells