Sign up
Log in
Results
View all 2 pictures

Is this your property? Sell it faster with premium placement and targeted ads.

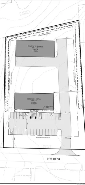
Business - New Windsor, NY

Two acres wide open canvas for Neighborhood Commercial Zone. Site plans in pics shows 1 possible layout. Great for retail mall or flex type spaces. Sewer, water, gas all available. All plans to require town approvals.

Copyright © 2025 OneKey MLS. All rights reserved. All information provided by the listing agent/broker is deemed reliable but is not guaranteed and should be independently verified.

Read More
Contact Seller

Keller Williams Realty

License #10401325556

Chester, NY

(845) 928-8000

Craig Pelsue

Keller Williams Realty
View Phone Number
By clicking the button, you agree to our Terms of Use and Privacy Policy.

Is this your property? Sell it faster with premium placement and targeted ads.