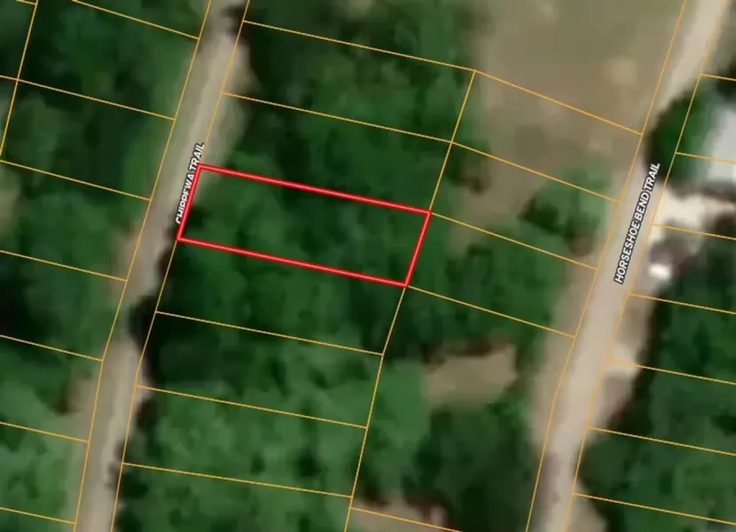
Treed lot available in Horseshoe Bend with lots of possibilities. Near the Brazos River. No known restrictions provide many options for your housing needs (RV parking, tiny home, barndo, mobile home, etc.) The community offers amenities including camping grounds, a convenience store, a golf course, and a country club. Seller financing is available!
___________________________________________________________________
This property is being offered For Sale and is Exclusively Listed by Allen Crumley, Associated Broker with Williams Trew. Prospective buyers may be required to provide proof of funds or a bank reference letter prior to scheduling a showing. No trespassing, please. The seller's agent must be present at all showings. This information was obtained from sources deemed to be reliable but in no way warranted by Williams Trew or Ebby Halliday. The property is offered subject to errors...
This property is being offered For Sale and is Exclusively Listed by Allen Crumley, Associated Broker with Williams Trew. Prospective buyers may be required to provide proof of funds or a bank reference letter prior to scheduling a showing. No trespassing, please. The seller's agent must be present at all showings. This information was obtained from sources deemed to be reliable but in no way warranted by Williams Trew or Ebby Halliday. The property is offered subject to errors, omissions, changes in price and/or terms, or removal from the market without notice. The Buyer and Buyer's representatives should verify all information contained herein. Contact Allen Crumley at 817-862-4459 for immediate assistance.
Search for detailed parcel information including; Elevation & Vegetation Maps, Ownership Information, Detailed Parcel Information, Crop History Map, Soil Survey Productivity Data, and more.
Research Parcel Information