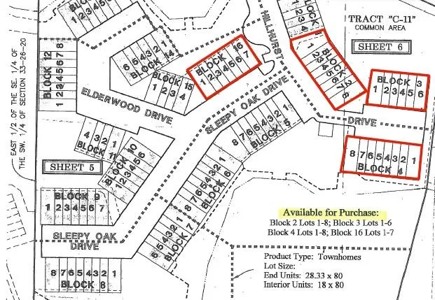
Description: The asset consists of 29 developed townhome lots within the Hillhurst Crossing neighborhood of Meadow Pointe in Wesley
Chapel, FL. The opportunity is for an investor or builder to acquire this package in bulk in this highly desirable part of Tampa Bay
and is only a short 25 minute drive from Downtown Tampa.
Location: Hillhurst Crossing is a gated neighborhood located within Meadow Pointe, a master planned community designed around a
village concept, located east of Bruce B, Downs Boulevard and south of State Road 56 in Pasco County, FL. The lots are located
on Hillhurst Drive. The project is accessed Beardsley Drive, east of Mansfield Blvd. from County Line Road in Wesley Chapel.
Lot Sizes: The average platted townhome lot is 18 X 80 with paved parking in front of the pads. The end units are 28.33 X 80.
CDD & HOA: The annual CDD obligation for each lot is $1,274.47 and th...
CDD & HOA: The annual CDD obligation for each lot is $1,274.47 and the annual HOA obligation expected to be $255 per lot.
Amenity: The community is gated. The property benefits from the surrounding wetlands and preservation area.
Search for detailed parcel information including; Elevation & Vegetation Maps, Ownership Information, Detailed Parcel Information, Crop History Map, Soil Survey Productivity Data, and more.
Research Parcel Information