Sign up
Log in
Results
View all 14 pictures
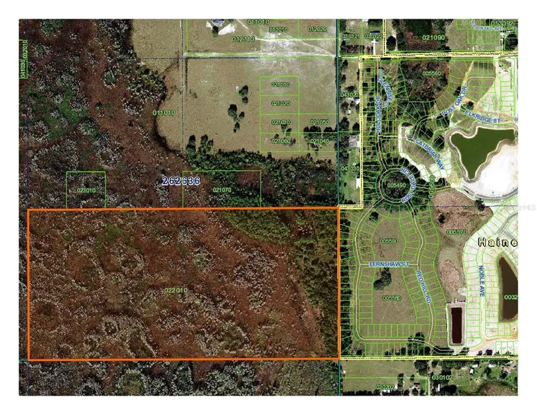
Size: 78.18 Acres

78.18 Acres in Davenport, FL - $2,000,000

Attention, Developers! A prime opportunity awaits with this expansive 78.18-acre parcel situated in the rapidly growing City of Davenport. Boasting a strategic location just minutes away from Interstate I-4, this property holds a central position between Orlando and Tampa, two major hubs in Florida. The parcel features a recorded easement, facilitating legal access and potential development options. This land parcel holds immense potential in a region marked by dynamic expansion. For developers looking to capitalize on Florida's growth and strategic positioning between major cities, this parcel in Davenport offers a canvas for visionary projects.

From elevation to risk assessment

Search for detailed parcel information including; Elevation & Vegetation Maps, Ownership Information, Detailed Parcel Information, Crop History Map, Soil Survey Productivity Data, and more.

Research Parcel Information
Contact Seller

CENTURY 21 MYERS REALTY

Auburndale, FL

(863) 875-5656

Provided By

CENTURY 21 MYERS REALTY, (863) 875-5656
Source: Century 21, MLS# P4928193
Listing last updated: March 23, 2025 at 9:30 PM
Listing last checked: October 10, 2025 at 7:30 AM
Report this listing

Other Land for Sale in Polk County