Sign up
Log in
Results
View all 36 pictures

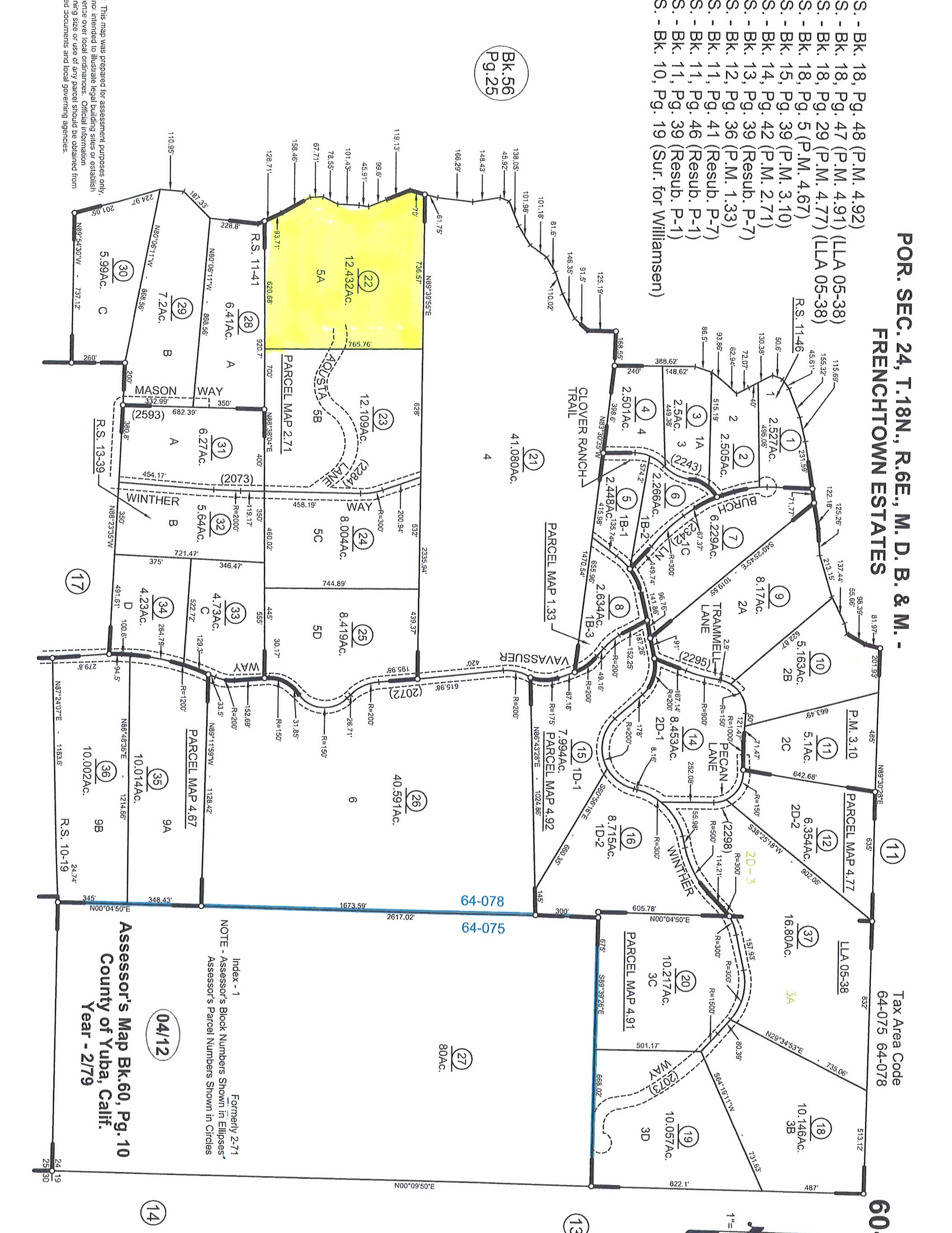
Augusta

A diamond in the rough...a blank pallet. This Dry Creek bordering property is overgrown but has the potential to be a private gem with a little work. Gorgeous trees - Massive pine trees, lovely cedars and various groves of madrones. Rough cut easement access along the side of the front neighbor's property provides easy driveway opportunity. Property is situated for privacy in many ways, and ideal building site will be below the knoll in an easy top open up meadowy area. Do not follow gps. Go with your agent only. No Drive Bys.

Have your agent Call neighbor to notify in afternoons, walk along the left-hand side where the current easement is roughed in. Do Not Disturb neighbors, go with your agent, do not go there alone.

Read More

From elevation to risk assessment

Search for detailed parcel information including; Elevation & Vegetation Maps, Ownership Information, Detailed Parcel Information, Crop History Map, Soil Survey Productivity Data, and more.

Research Parcel Information

Directions

Frenchtown to Vavasseur to Winther to easement rd.

Contact Seller
Gold Country Ranches and Realty

License #01222347

Grass Valley, CA

(530) 292-7194